Šta je novo?

Rekonstrukcija Trga Nikole Pašića

Screenshot_20250619_093529_com_android_chrome_ChromeTabbedActivity.jpg
 
Ali koja je to st***, ova četiri šatora bliže skupštini, su konstantno prazni, nikad nikoga u njima nije ni bilo, za razliku od ovih manjih.

I umesto da ih privremeno sklone, makar pomere iza manjih, da se oslobodi traka, kako bi skinuli stari asfalt, ne, oni prkose.
 
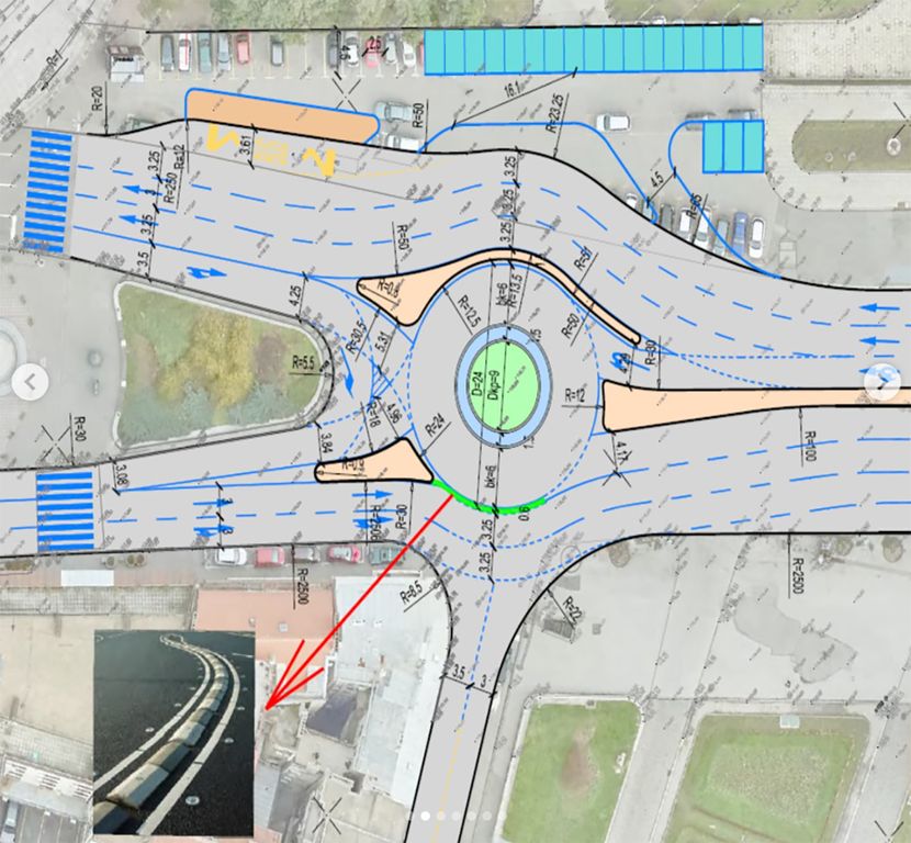
Ali imaš čitav prostor kome apsolutno ništa ne fali i onda dobiješ potpuno nepotrebnu novu fontanu, koja je zazelenila vrlo brzo, Gangulin kretenski kružni tok i Huljin beduinski kamp u sred grad sa 6 i po krimosa u njemu.
 
Znači ne može u garažu.

To ne znači da niko neće ići preko ovih razdelnika i da će razdelnici opstati duže od par meseci.
Подеони ивичњак.

Искрено, не знам колико би, због проточности саобраћаја и безбедности, било добро решење уколико би било дозвољено искључење ка гаражи, иако јесте смислено да се из више праваца приступа.
 
Po mom mišljenju pravci ka garažama moraju imati prioritet jer manju gužvu stvaraju kola koja idu pravo ka nekoj garaži,nego oni što kruže ulicama tražeći parking.

Naravno, ovde se i dalje daje prioritet parking mestima na kolovozima i trotoarima, tako da ne treba tražiti logiku, osim da se trenutno automobilski saobraćaj stvalja na prvo mesto, a morao bi da bude na poslednjem mestu u konkurenciji gradskog prevoza, bicikista i pešaka.
 
Mislim da je baš Šapke na jednoj od svojih maratonskih konferencija za novinare, najavio da će ta parking mesta biti ukinuta kad se otvori garaža.

S tim što sada deluje da će pre Kinezi završiti garažu no Šapke trg :D
 
Ne pišem često, a još ređe psujem, ali da mu je*em mater i projektantu i nadzornom organu i kome sve ne... radiš i kopaš sve od početka i na pešačoj stazi koja je jedva metar široka ti kao id*** staviš bandere po sred iste. Nisi mogao da je pomeriš metar desno prema parku da ne zauzima trotoar... mislim, baš mora po sredini da bude...

trg nikole pasica.jpg
 
Ne pišem često, a još ređe psujem, ali da mu je*em mater i projektantu i nadzornom organu i kome sve ne... radiš i kopaš sve od početka i na pešačoj stazi koja je jedva metar široka ti kao id*** staviš bandere po sred iste. Nisi mogao da je pomeriš metar desno prema parku da ne zauzima trotoar... mislim, baš mora po sredini da bude...

Pogledajte prilog 242068
Једна од првих ствари у Београду коју нова власт мора да уради је да ресетује цео овај део на фабричка подешавања и поништи век разарања и симболичног понижавања српског парламентаризма и политичког либерализма. Врати старе ограде, протера аутомобиле, сузи ове аутомобилске траке, врати трамваје прошири пешачки део, засади цвеће и дрвореде, претвори назад "Пионирски парк" у прави парк из турбо роштиљијаде која је сада, среди достојанствено осветљење фасаде и унутрашњости куполе Скупштине из оног пинк треша итд. итд. Све остало и сваки компромис са багром је издаја

1750360312739.png
 
Ali, ali, žabe! Malo da upotpune kamperski doživljaj u ćacilendu.
 
Мислим да знам зашто су препустили ову фонтану жабокречини - да спрече ћаке да се купају ту, могло би да дође до масовног пумпања приликом тог догађаја.
 
Vrh